- Rathaus & Politik
- Leben & Wohnen
- Wirtschaft & Mobilität
- Erleben & Entdecken
Amtliche Bekanntmachung
Bauleitplanung der Stadt Bad Vilbel
Inkrafttreten der 5. Änderung des Bebauungsplans „Im Schleid“ in Bad Vilbel, Gemarkung Bad Vilbel
Die Stadtverordnetenversammlung der Stadt Bad Vilbel hat in ihrer öffentlichen Sitzung am 16.12.2025 die 5. Änderung des Bebauungsplans „Im Schleid“ in der Fassung vom 31.10.2025 als Satzung beschlossen. Ebenso wurden die bauordnungsrechtlichen Festsetzungen gemäß § 91 Hessische Bauordnung (HBO) in Verbindung mit § 9 Abs. 4 BauGB als Satzung beschlossen.
Dem Bebauungsplan werden die folgenden Fachgutachten beigefügt: Artenschutzrechtlicher Fachbeitrag, Landschaftsbildanalyse, Klimaökologisches Gutachten, Machbarkeitsstudie zum Schallschutz, Machbarkeitsstudie zur Entwässerung, Verkehrsuntersuchung zur 5. Änderung des Bebauungsplans „Im Schleid“, Verkehrsuntersuchung zur 13. Änderung des Bebauungsplans „Krebsschere“, Abschlussbericht zur Kampfmittelräumung aus dem Jahr 2018 und Abschlussbericht zur Kampfmittelbergung nach geomagnetischer Flächenaufzeichnung aus dem Jahr 2022.
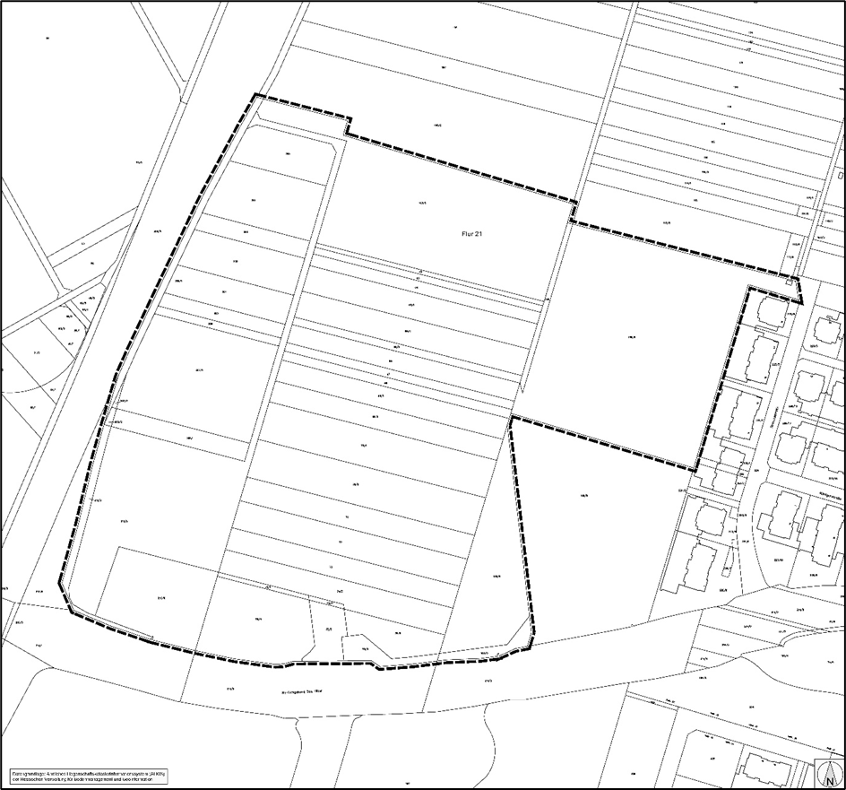
Das Plangebiet befindet sich in der Flur 21 der Gemarkung Bad Vilbel. Das Plangebiet besitzt eine Größe von 134.049 m² (ca. 13,4 ha) und liegt am nordwestlichen Rand der Kernstadt Bad Vilbels. Im Süden wird das Plangebiet durch die Nordumgehung Bad Vilbel (Landesstraße L 3008) und im Westen durch die Bundesstraße B 3 begrenzt. Östlich des Plangebietes befinden sich die Wohnbauflächen des Baugebietes „Im Schleid“. Im Norden grenzen landwirtschaftlich genutzte Flächen an den Geltungsbereich der Bebauungsplanänderung an.
Der Geltungsbereich ist auf dem beigefügten Lageplan dargestellt.
Der Bebauungsplan ist aus dem Regionalplan Südhessen / Regionalen Flächennutzungsplan 2010 entwickelt.
Die 5. Änderung des Bebauungsplans „Im Schleid“ und die zusammen mit dem Bebauungsplan aufgestellten örtlichen Bauvorschriften sowie wasserwirtschaftlichen Festsetzungen treten gemäß § 10 Abs. 3 BauGB mit dieser Bekanntmachung in Kraft.
Gemäß § 215 Abs. 2 BauGB wird darauf hingewiesen, dass
- eine nach § 214 Abs. 1 Satz 1 Nr. 1 bis 3 BauGB beachtliche Verletzung der dort bezeichneten Verfahrens- und Formvorschriften,
- eine unter Berücksichtigung des § 214 Abs. 2 BauGB beachtliche Verletzung der Vorschriften über das Verhältnis des Bebauungsplanes und des Flächennutzungsplanes und
- nach § 214 Abs. 3 Satz 2 BauGB beachtliche Mängel des Abwägungsvorgangs
gemäß § 215 Abs. 1 BauGB unbeachtlich werden, wenn sie nicht innerhalb eines Jahres seit dieser Bekanntmachung schriftlich gegenüber dem Magistrat der Stadt Bad Vilbel, Am Sonnenplatz 1, 61118 Bad Vilbel, unter Darlegung des die Verletzung begründenden Sachverhalts geltend gemacht worden sind.
Auf die Vorschriften des § 44 Abs. 3 Satz 1 und 2 BauGB über die Fälligkeit etwaiger Entschädigungsansprüche im Falle der in den §§ 39-42 BauGB bezeichneten Vermögensnachteile, deren Leistung schriftlich beim Entschädigungspflichtigen zu beantragen ist, und des § 44 Abs. 4 BauGB über das Erlöschen von Entschädigungsansprüchen, wenn der Antrag nicht innerhalb der Frist von drei Jahren gestellt ist, wird hingewiesen.
Die 5. Änderung des Bebauungsplans „Im Schleid“ kann einschließlich der zugehörigen Fachgutachten während der allgemeinen Dienststunden bei der Stadt Bad Vilbel (Fachdienst Planung und Stadtentwicklung), Am Sonnenplatz 1, II. Stock, Zimmer 214 eingesehen werden (Telefonische Vereinbarung eines Termins nicht erforderlich, aber möglich unter 06101-602213). Jedermann kann den Bebauungsplan einschließlich der zugehörigen Fachgutachten einsehen und Auskunft über seinen Inhalt verlangen.
Gemäß §10a Abs. 2 BauGB wird der Bebauungsplan einschließlich der zugehörigen Fachgutachten ergänzend in das Internet eingestellt. Die Unterlagen stehen auf der Homepage der Stadt Bad Vilbel www.bad-vilbel.de unter „Wirtschaft und Mobilität“ à „Bauen“ à „Bebauungspläne“ à „Bebauungspläne Bad Vilbel“ (https://www.bad-vilbel.de/wirtschaft-mobilitaet/bauen/bebauungsplaene/bebauungsplaene-kernstadt-bad-vilbel/) und über das zentrale Internetportal der Bauleitplanung in Hessen (https://bauleitplanung.hessen.de/) zur Einsichtnahme bereit.
Bad Vilbel, den .19.12.2025
DER MAGISTRAT DER STADT BAD VILBEL
Sebastian Wysocki
Bürgermeister

Abbildung 1: Lage des räumlichen Geltungsbereichs der 5. Änderung des Bebauungsplans „Im Schleid“
